PEUGEOT PARTNER 1.9 D 70CV 5 PLAZAS
- Vehicles Stock Accidentados
- ID # 003225
- Marke Peugeot
- Anmeldung 7 / 2006
- Farbe Blanco
- Getriebegehäuse Manual
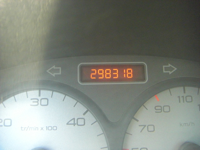
- Meilen 298.318 Km
- Macht 70CV
- Kraftstoff Diesel
- Lage Madrid
- Verkäufer Hostiauto
- Preis 900 €
Información PEUGEOT PARTNER 1.9 D 70CV 5 PLAZAS
Observaciones PEUGEOT PARTNER 1.9 D 70CV 5 PLAZAS
vehiculo arrancando y andando,airbags ok,con daños de uso tanto interior como exterior,mandos audio en volante,a/celevalunas electrico,5 plazas..
Fotos PEUGEOT PARTNER 1.9 D 70CV 5 PLAZAS
- PEUGEOT PARTNER 1.9 HDI 70 …

- PEUGEOT PARTNER 1.9 HDI 70 …

- PEUGEOT PARTNER 1.9 HDI 70 …

- PEUGEOT PARTNER 1.9 HDI 70 …

- PEUGEOT PARTNER 1.9 HDI 70 …

- PEUGEOT PARTNER 1.9 HDI 70 …

- PEUGEOT PARTNER 1.9 HDI 70 …

- PEUGEOT PARTNER 1.9 HDI 70 …

- PEUGEOT PARTNER 1.9 HDI 70 …

- PEUGEOT PARTNER 1.9 HDI 70 …

- PEUGEOT PARTNER 1.9 HDI 70 …

- PEUGEOT PARTNER 1.9 HDI 70 …

- PEUGEOT PARTNER 1.9 HDI 70 …

- PEUGEOT PARTNER 1.9 HDI 70 …

- PEUGEOT PARTNER 1.9 HDI 70 …

- PEUGEOT PARTNER 1.9 HDI 70 …

- PEUGEOT PARTNER 1.9 HDI 70 …

- PEUGEOT PARTNER 1.9 HDI 70 …

- PEUGEOT PARTNER 1.9 HDI 70 …

- PEUGEOT PARTNER 1.9 HDI 70 …

- PEUGEOT PARTNER 1.9 HDI 70 …

- PEUGEOT PARTNER 1.9 HDI 70 …

- PEUGEOT PARTNER 1.9 HDI 70 …

Características Motor y cambio
- El vehiculo anda
- Motor arranca
Características Carrocería
- Airbags ok
Características Extras
- ABS
- Airbag
- Airbag acompañante
- Aire acondicionado
- Dirección asistida
- Elevalunas eléctrico
- Ordenador de abordo
