SEAT LEON 1.9 TDI 110CV
- Vehicles Stock Accidentados
- ID # 002921
- Marke Seat
- Anmeldung 1 / 2002
- Farbe Negro
- Getriebegehäuse Manual
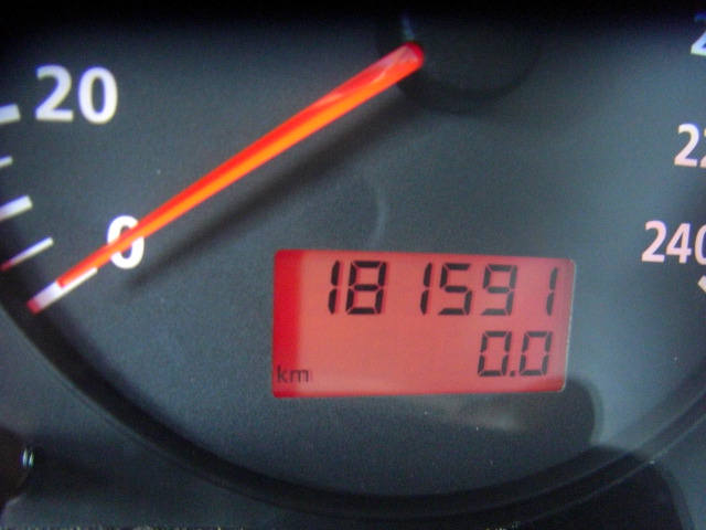
- Meilen 181.591 Km
- Macht 110CV
- Kraftstoff Diesel
- Lage Madrid
- Verkäufer Hostiauto
- Preis 1.600 €
Información SEAT LEON 1.9 TDI 110CV
Observaciones SEAT LEON 1.9 TDI 110CV
accidentado.vehiculo con golpe delantero,arrancando y andando,dañado carter
Fotos SEAT LEON 1.9 TDI 110CV
- SEAT LEON 1.9 TDI 110CV

- SEAT LEON 1.9 TDI 110CV

- SEAT LEON 1.9 TDI 110CV

- SEAT LEON 1.9 TDI 110CV

- SEAT LEON 1.9 TDI 110CV

- SEAT LEON 1.9 TDI 110CV

- SEAT LEON 1.9 TDI 110CV

- SEAT LEON 1.9 TDI 110CV

- SEAT LEON 1.9 TDI 110CV

- SEAT LEON 1.9 TDI 110CV

- SEAT LEON 1.9 TDI 110CV

- SEAT LEON 1.9 TDI 110CV

- SEAT LEON 1.9 TDI 110CV

- SEAT LEON 1.9 TDI 110CV

- SEAT LEON 1.9 TDI 110CV

- SEAT LEON 1.9 TDI 110CV

- SEAT LEON 1.9 TDI 110CV

- SEAT LEON 1.9 TDI 110CV

- SEAT LEON 1.9 TDI 110CV

- SEAT LEON 1.9 TDI 110CV

- SEAT LEON 1.9 TDI 110CV

- SEAT LEON 1.9 TDI 110CV

- SEAT LEON 1.9 TDI 110CV

- SEAT LEON 1.9 TDI 110CV

- SEAT LEON 1.9 TDI 110CV

- SEAT LEON 1.9 TDI 110CV

- SEAT LEON 1.9 TDI 110CV

